조황관리HOME / 조황관리 / 상세정보

제목 : 3월5일 조황
등록일 : 2026-03-06



3월 5일 (목)
수연 조황 입니다.

감시들 !
친정집 나들이로
분주해 보이는 요즈음
입니다.

풍화리에서
흘림 낚시로
밝게 빛 볼수 있는 날이
두번정도 있는데
한번은 내림 괴기
또 한번은 올림 괴기

지금이
감시들의 올림이
시작된듯 보입니다

찌 매니아분들
장비 챙기시길 바랍니다.


오늘 조황 입니다.

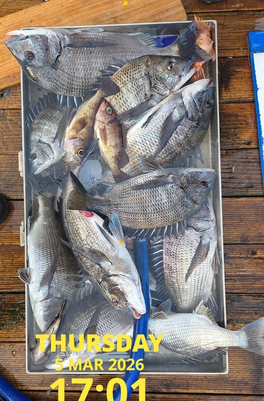
☆ 49.. (10수)
  • 사용자가 올린 이미지
  • 사용자가 올린 이미지
  • 사용자가 올린 이미지
  • 사용자가 올린 이미지





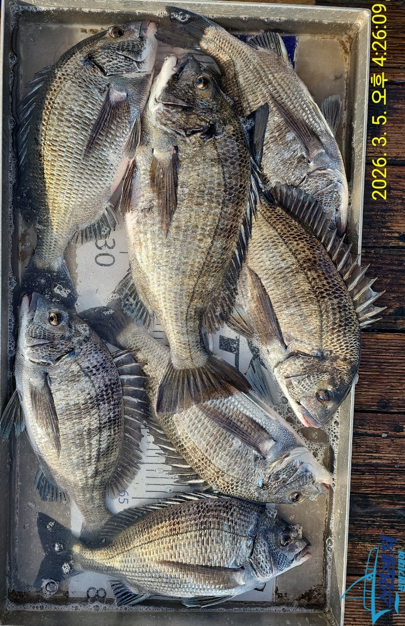
☆ 50...(7수)
  • 사용자가 올린 이미지
  • 사용자가 올린 이미지
  • 사용자가 올린 이미지






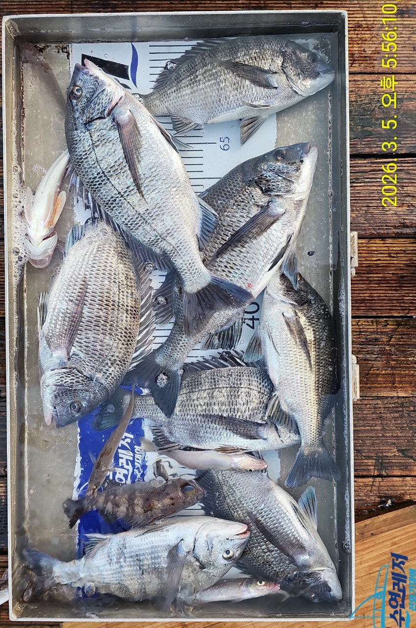
☆ 46 ...(8수)
  • 사용자가 올린 이미지
  • 사용자가 올린 이미지
  • 사용자가 올린 이미지
  • 사용자가 올린 이미지





☆ 42 ... (5수)
  • 사용자가 올린 이미지
  • 사용자가 올린 이미지





☆ 51 .
  • 사용자가 올린 이미지
  • 사용자가 올린 이미지
  • 사용자가 올린 이미지
  • 사용자가 올린 이미지





☆ 47 ..
  • 사용자가 올린 이미지
  • 사용자가 올린 이미지
  • 사용자가 올린 이미지





☆ 49..
  • 사용자가 올린 이미지
  • 사용자가 올린 이미지





☆ 44..
  • 사용자가 올린 이미지
  • 사용자가 올린 이미지
  • 사용자가 올린 이미지
Top