#조황12월 1일 (월)수연 조황 입니다.☆ ☆ ☆ ☆ ☆☆이상 입니다 .====== 수연레저 예약안내 ======[수연레저] [오후 10:16] https://youtu.be/E-Lq4mezqYE[수연레저] [오전 8:35] https://youtu.be/dGolSuR_c5o오시는길 : 경남 통영시 산양읍 궁항길 63예약문의 : 010-7703-0071홈페이지 : http://suyeon.sunsang24.com/
#조황12월 1일 (월)수연 조황 입니다.☆ ☆ ☆ ☆ ☆☆이상 입니다 .====== 수연레저 예약안내 ======[수연레저] [오후 10:16] https://youtu.be/E-Lq4mezqYE[수연레저] [오전 8:35] https://youtu.be/dGolSuR_c5o오시는길 : 경남 통영시 산양읍 궁항길 63예약문의 : 010-7703-0071홈페이지 : http://suyeon.sunsang24.com/
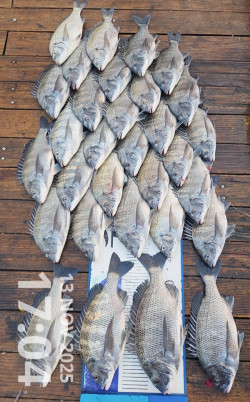
#조황11월 30일 (일)수연 조황 입니다.☆ 48 , 49 ... ☆ ☆ ☆ ☆☆ ☆이상 입니다 .낼 부터많은 분들께서 기다리신오뎅탕 개시합니다. 새벽 출조전뜨끈한 국물 한그릇으로속도 채우시고정도 채워서 나가세요====== 수연레저 예약안내 ======[수연레저] [오후 10:16] https://youtu.be/E-Lq4mezqYE[수연레저] [오전 8:35] https://youtu.be/dGolSuR_c5o오시는길 : 경남 통영시 산양읍 궁항길 63예약문의 : 010-7703-0071홈페이지 : http://suyeon.sunsang24.com/
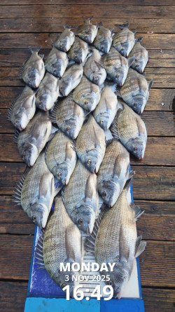
#조황11월 29일 (토)수연 조황 입니다.어부 밥상에괴기 반찬 없다는 2물 .그래도....괴기 대가리 맞추어서라도잡아 오시는분은잡아 오시네요모두들고생 하셨습니다☆ ☆☆ ☆☆ ☆☆이상 입니다 .====== 수연레저 예약안내 ======[수연레저] [오후 10:16] https://youtu.be/E-Lq4mezqYE[수연레저] [오전 8:35] https://youtu.be/dGolSuR_c5o오시는길 : 경남 통영시 산양읍 궁항길 63예약문의 : 010-7703-0071홈페이지 : http://suyeon.sunsang24.com/
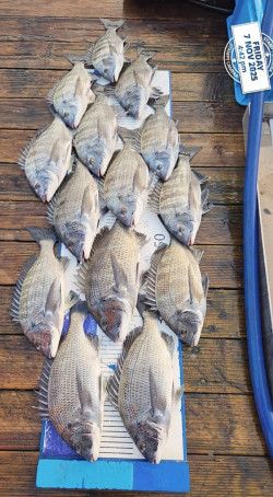
#조황11월 28일 (금)수연 조황 입니다.어제는기상악화로 하루 쉬었고....그리고오늘.물 안가는 조금 물때라 캐도이리 안 가는지....흘림이야견제로 잡는다지만카고는우째야 될꼬 ... ㅎ암튼고생들 하셨습니다☆ 창원 한사장님카고☆ 천안 이사장님 !흘림 ☆ 진해 전사장님 & 정사장님 !흘림 & 카고☆ 대구 이사장님 !흘림☆ 세종 임사장님 !& 대전 김사장님 !흘림☆ 경산 이사장님 !흘림이상 입니다.====== 수연레저 예약안내 ======[수연레저] [오후 10:16] https://youtu.be/E-Lq4mezqYE[수연레저] [오전 8:35] https://youtu.be/dGolSuR_c5o오시는길 : 경남 통영시 산양읍 궁항길 63예약문의 : 010-7703-0071홈페이지 : http://suyeon.sunsang24.com/
#조황11월 26일 (수)수연 조황 입니다.☆ 통영 강사장님 & 황사장님 !카고☆ 진주 상대동 정사장님 !>> 흘림☆ 창원 정사장님 !☆ 강원도 영월 조사장님 !& 충북 제천 임사장님 ! ☆ 원주시 임사장님 & 김사장님☆ 진주 임사장님 !☆ 수원 고사장님 & 박사장님 !☆ 대구 와룡 황사장님 일행분 !☆
#조황11월 24일 (월)수연 조황 입니다.☆ 통영 강사장님 !항남동에서 유명한 스시가게 운영하시는 분이십니다 " 테츠야 스시 "가게에 쓸 자연산 감시 잡으러 오셨네요 ☆ 부산 박사장님 !☆ 진해 임사장님 일행분 ! ☆ 부산 기장 김사장님 !☆ 경기 오산 신사장님 일행분 ! 오늘은요까이 입니다 .낼은기상악화로 하루 쉬었다 갑니다.모래뵙도록 할께요====== 수연레저 예약안내 ======[수연레저] [오후 10:16] https://youtu.be/E-Lq4mezqYE[수연레저] [오전 8:35] https://youtu.be/dGolSuR_c5o오시는길 : 경남 통영시 산양읍 궁항길 63예약문의 : 010-7703-0071홈페이지 : http://suyeon.sunsang24.com/
#조황11월 22일 (토)수연 조황 입니다☆ 50.5 , 44 ☆ 43 , 40..☆☆ 44 .☆ 43 ... ☆ 47.5 , 42...☆ 46 , 43 , 42 ..☆ ☆☆
#조황11월 20일 (목)수연 조황 입니다.오늘은약식 조황으로....☆ 카고 첫 오짜 ~50 , 46 ....☆ 48 , 46... ☆ 46 , 42 , 42... ☆ ☆ ☆ ☆☆ ☆
#조황11월 20일 (목)수연 조황 입니다.오늘은약식 조황으로....☆ 카고 첫 오짜 ~50 , 46 ....☆ 48 , 46... ☆ 46 , 42 , 42... ☆ ☆ ☆ ☆☆ ☆
#조황11월 19일 (수)수연 조황 입니다 .☆ 창원 제사장님 ! 44 , 42 , 40 ...☆ 광주 북구 박사장님 일행분 !43 ...☆ 통영 광도면 강사장님 ! 46 , 44 , 42, 40...☆ 진주 정사장님& 통영 한사장님 ! ☆ 청주 김사장님 일행분 ! 48 , 45 ...☆ 부산 신사장님 !& 광주 신사장님43 , 40 ...☆ 의창 유사장님 내외분 !☆ 청주 이사장님 !
#조황11월 17일 (월)수연 조황 입니다 .조황에 앞서수연을 찾아 주시는조사님들께당부 말씀 한가지작심하고전합니다.제발. 부탁 드립니다선외기 운전난폭하게 하지 말아 주십시요여러분들낚시 포인트까지 모시기. 위한보조 수단일뿐레이싱을 위한 장비가 아닙니다.다음과 같은 행위는절대 금하오니협조 부탁 드립니다.1. 과속 금지 ( 풀 스트로크의 80% 만 사용)2. 후진시 전진 회전력이 어느정도 죽고난후 후진 기어를 넣어 주세요(※ 과속으로 달리다가 정회전수가 줄기도전에 후진(역회전)을 넣으면 클러치방 기어류가 박살이납니다)3. 전진이든 후진이든 한번에풀로 밀면 안되며 점진적으로속도를 올려 주시기 바랍니다.특히. 후진할때 바로 풀로 넣는 경우가비일비재 합니다.4. 너울이 높은 경우나 조류의 역방향으로 전진시 엔진의 굉음에도 불구하고 무조건풀스트로크로 밀고 오시는분들제발 자제 부탁 드립니다.5 . 마지막으로출항 & 입항시 매번 말씀 드림에도 불구하고 과속으로 나가시고 들어 오는분들 너무 많습니다궁항 방파제 기점으로 방파제까진최저 속도로 나가시고들어 오실때도방파전에 모든 속도를 줄이시고내항으로 진입 바랍니다다시 한번 부탁 드립니다선외기 운전 제발 살~살~해 주세요초보분들은예약문자에 첨부된 동영상최소 한번은 보시고출조 부탁 드립니다.오늘 조황입니다.☆☆☆☆ ☆☆☆☆☆이상 입니다 .그리고낼은기상악화로 하루 점빵문닫습니다모래
#조황11월 16일 (일)수연 조황 입니다.☆>>>>요 샷은어제 & 오늘 조과.총36수.☆ ☆ ☆ ☆ ☆ ☆☆☆☆
#조황11월 15일 (토)수연 조황 입니다.약식으로. 갑니다 .☆☆☆ ☆ ☆☆ ☆☆☆☆☆
#조황11월 14일 (금)수연 조황 입니다 .사진만쭈~욱 갑니다 .☆ 3호☆ 12호☆ 9호☆ 7호☆ 2호 ☆ 8호☆ 10호☆ 4호☆ 11호 이상 입니다.====== 수연레저 예약안내 ======[수연레저] [오후 10:16] https://youtu.be/E-Lq4mezqYE[수연레저] [오전 8:35] https://youtu.be/dGolSuR_c5o오시는길 : 경남 통영시 산양읍 궁항길 63예약문의 : 010-7703-0071홈페이지 : http://suyeon.sunsang24.com/
#조황11월 13일 (목)수연 조황 입니다 .시즌 초반 부터흘림 & 카고 모두호조황의 연속이네요 ....☆ 강원도 영월 조사장님 !& 제천 임사장님 !ㅡ 카고.감시만총 31수. 최대어 : 43 cm인생 조과 만나셨네요 ~추카 드립니다.☆ 경기도 용인 오사장님 !& 광명시 최사장님 !ㅡ 흘림 .☆ 통영 황사장님 내외분 !ㅡ흘림 .☆ 경북 칠곡군 윤사장님 !ㅡ 카고 .한방 터준게아쉅네요 ^^43 , 40 ... ☆ 경기 수원 김사장님 !& 용인 고사장님 !ㅡ 흘림 .☆ 부산 박사장님 !ㅡ 카고 .41 , 40 ...☆ 경기 용인 정사장님 일행분 !ㅡ 루어 .
#조황11월 11일 (화)수연 조황 입니다.☆ 청주 정사장님 !카고.42 , 42....☆ 통영 민사장님 !카고40, 40...☆ 창원 진사장님 , 박사장님 !☆ 경기 고양 김사장님 일행분☆부산 사하구 김사장님 !카고☆ 전남 광양 선사장님 !☆ 김해 이사장님 내외분 !☆ 울산 김사장님 !흘림☆ 대전 한사장님 !☆경기 의정부 강사장님 일행분 !☆ 경북 칠곡군 장사장님 내외분☆ 김해 김사장님 & 서사장님
11월 10일 (월)수연 조황 입니다약식 조황으로대체 합니다. 이상 입니다. #조황 ====== 수연레저 예약안내 ======[수연레저] [오후 10:16] https://youtu.be/E-Lq4mezqYE[수연레저] [오전 8:35] https://youtu.be/dGolSuR_c5o오시는길 : 경남 통영시 산양읍 궁항길 63예약문의 : 010-7703-0071홈페이지 : http://suyeon.sunsang24.com/
#조황11월 9일 (일)수연 조황 입니다 .☆ 진주 김사장님 과 아드님 !오늘도 대박 조과네요 ^^총 28 수 #☆ 창원 유사장님 !17갑 일문☆ 창원 제사장님 !최대어 : 49cm , 11수 ☆ 통영 민사장님 ! ☆ 대전 김사장님 & 이사장님 !☆ 강원 태백 이사장님 !☆ 대구 달서구 최사장님 일행분 !☆ 대구 달서구 옥포이사장님 일행분 그외조황컷 입니다. 이상 입니다 .====== 수연레저 예약안내 ======[수연레저] [오후 10:16] https://youtu.be/E-Lq4mezqYE[수연레저] [오전 8:35] https://youtu.be/dGolSuR_c5o오시는길 : 경남 통영시 산양읍 궁항길 63예약문의 : 010-7703-0071홈페이지 : http://suyeon.sunsang24.com/
#조황11월 8일 (토)수연 조황 입니다.☆ 진주 김사장님 과 아드님 ! ☆ 진주 구사장님 ! 이건노가다~ ^^팔이아파서더 이상은.....포기 !☆ 통영 사랑의죽림 고사장님 !대물 사냥만하시는 ... ☆ 마산 정사장님 !조황에 누락 되여뒤늦게 추가 합니다 .죄송 합니다 ^^ ☆ 창원 박사장님 !& 김해 황사장님 !올 감시 시즌워밍업 ~START ☆ 울산 송사장님 ! ☆ 창원 이사장님 일행분 !늦게 오셔서 못 뵙고가실때도 못 뵙고오랜만에 오셨는데......ㅠㅠ 감사 드립니다 ^^그외조황은 사진만 갈께요
#조황11월 7일 (금)수연 조황 입니다.☆ 마산 정사장님 ! ☆ 부산 이사장님 내외분 !☆ 구미시 이사장님 !☆ 거제 정사장님 ! ☆대전 이사장님 & 김사장님 !☆ 경기 오산 신사장님 내외분 !이상 입니다 .※ 월명도 미역어장출입을 원하는 조사님들께선통큰 낚시 밑밥 지참 해 주세요※ 낚시 입문 or 선외기 입문자분들은 관련 동영상(유투브)을시청 하셔서 기본적인 지식 습득후 입문 하시믄 큰 도움이 되리라생각 합니다.====== 수연레저 예약안내 ======[수연레저] [오후 10:16] https://youtu.be/E-Lq4mezqYE[수연레저] [오전 8:35] https://youtu.be/dGolSuR_c5o오시는길 : 경남 통영시 산양읍 궁항길 63예약문의 : 010-7703-0071홈페이지 : http://suyeon.sunsang24.com/
#조황11월 6일 (목)수연 조황 입니다.☆ 창원 한사장님& 김해 유사장님 ☆ 마산 정사장님 ! ☆ 통영 민사장님 !☆ 통영 윤사장님 & 안사장님 ! ☆ 대구 이사장님 내외분 !☆ 통영 정사장님 & 장사장님 !☆경기도 평택 조사장님 내외분☆ 부산 영도 송사장님& 박사장님 !그외 조황 컷 입니다.====== 수연레저 예약안내 ======[수연레저] [오후 10:16] https://youtu.be/E-Lq4mezqYE[수연레저] [오전 8:35] https://youtu.be/dGolSuR_c5o오시는길 : 경남 통영시 산양읍 궁항길 63예약문의 : 010-7703-0071홈페이지 : http://suyeon.sunsang24.com/
11월 5일 (수)수연 조황 입니다#조황 이상 입니다 .====== 수연레저 예약안내 ======[수연레저] [오후 10:16] https://youtu.be/E-Lq4mezqYE[수연레저] [오전 8:35] https://youtu.be/dGolSuR_c5o오시는길 : 경남 통영시 산양읍 궁항길 63예약문의 : 010-7703-0071홈페이지 : http://suyeon.sunsang24.com/
#조황11월 4일 (화)수연 조황 입니다.조사님 언급 없이사진만 갈께요◇ 흘림 조황 ◇ 카고 조황 ◇ 먹물 조황
#조황11월 3일 (월)수연 조황 입니다복쨍이백만대군과 싸워서금의 환향 하신 조사님 !메가리뗏군들과싸우느라파김치 되신조사님 !여기 저기노가다판에 고생많이들 하시고 오셨네요☆ 부산 해운대구전사장님 ! & 정사장님 ! ☆ 마산 정사장님 !오늘의 최대어 : 47 cm☆ 진주 김사장님 !오전 늦~게오셔서 걱정 했는데.... ☆부산 해운대구 박사장님 !☆ 기장군 최사장님& 울산 동구 김사장님 ! ☆ 부산 진구 김사장님 !☆ 통영 북신 안사장님 일행분 !☆ 통영 미수의 김사장님 !& 무전동 정사장님 ! ☆ 용인시 김사장님 일행분 ! 마지막으로오늘홍일점 !루어팀☆ 김해 박사장님 & 송사장님 !
#조황11월 첫날수연 조황 입니다.예보상오전은 무난한 기상이였는데실제는더 불고더 꼴랑거렸네요나가신지 얼마 못 계시다멀미로철수한 팀에서부터많은 조사님들제 기량 못 펼치시고오전 철수가 많았던오늘 이였습니다.낼도더 불면 더 불었지덜 불지는 않을것으로예보되여 있어예약 조사님들껜송구 하지만영업 안하는걸로결정 합니다여하튼오늘 롤러 코스트에심장 졸이며출항 하신 모든 조사님들고생들 많이하셨습니다.오늘조황 입니다 .주요 포인트 진입이 어려워다소 착한 조과들로이른 마무리들하셨네요 낼~하루 쉬었다가모래뵙도록 하겠습니다즐거운주말 보내세요====== 수연레저 예약안내 ======[수연레저] [오후 10:16] https://youtu.be/E-Lq4mezqYE[수연레저] [오전 8:35] https://youtu.be/dGolSuR_c5o오시는길 : 경남 통영시 산양읍 궁항길 63예약문의 : 010-7703-0071홈페이지 : http://suyeon.sunsang24.com/
10월 31일 (금)수연 조황 입니다 .애써올렸더니클릭 한방에 싹~다삭제 되여 버렸네요 ㅠ사진만순서 없이갈께요 #조황이상 입니다 .한동안기상이 아슬아슬하게턱걸이만 하더만드뎌요번 일욜은선을 넘네요낼은우째 우째가능할듯 하고일욜 영업 가부는낼 중으로결정 해 드릴께요굿밤들 보내세요====== 수연레저 예약안내 ======[수연레저] [오후 10:16] https://youtu.be/E-Lq4mezqYE[수연레저] [오전 8:35] https://youtu.be/dGolSuR_c5o오시는길 : 경남 통영시 산양읍 궁항길 63예약문의 : 010-7703-0071홈페이지 : http://suyeon.sunsang24.com/
#조황10월 30일 (목)수연 조황 입니다 .오늘도사진만 갑니다 .
#조황10월 29일 (수)수연 조황 입니다.오후 어장 작업이급하게 잡혀버려오신 조사님들가시는 길배웅도 못해 드렸네요ㅠㅠ죄송 합니다조황은주신 사진 몇장으로대체 하오니양해 부탁드립니다 이상 입니다.혹시찍으신 사진 있으시면주세요뒤에라도추가토록 할께요고생들하셨습니다.====== 수연레저 예약안내 ======[수연레저] [오후 10:16] https://youtu.be/E-Lq4mezqYE[수연레저] [오전 8:35] https://youtu.be/dGolSuR_c5o오시는길 : 경남 통영시 산양읍 궁항길 63예약문의 : 010-7703-0071홈페이지 : http://suyeon.sunsang24.com/
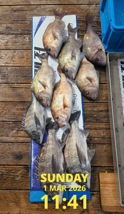
10월 28일 (화)수연 조황 입니다 .어제부로똥바람은 둘째 치고기온이뚝떨어졌네요출조. 하시는 조사님들겨울에 준하는복장으로오셔야살아서 돌아오실수 있습니다.오늘도약식 조황으로대체 합니다.





























