조황관리HOME / 조황관리 / 상세정보

제목 : 3월1일 조황
등록일 : 2026-03-06



#조황

3월 첫날(일) !
수연 조황 입니다.

어제와
다른
오늘 이네요

어제의 굿~조황빨 !
최소 하루는 이어지리라
예상 했건만
부는 바람에 다 ~
날려 가삣나
???


오늘은
다~들
고전에 고전을
거듭 하시네요

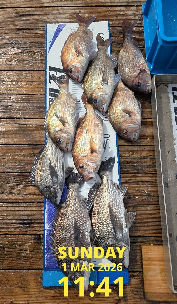
오늘
조황 입니다


  • 사용자가 올린 이미지
  • 사용자가 올린 이미지
  • 사용자가 올린 이미지





  • 사용자가 올린 이미지
  • 사용자가 올린 이미지
  • 사용자가 올린 이미지






  • 사용자가 올린 이미지
  • 사용자가 올린 이미지
  • 사용자가 올린 이미지






  • 사용자가 올린 이미지
  • 사용자가 올린 이미지






  • 사용자가 올린 이미지
  • 사용자가 올린 이미지
  • 사용자가 올린 이미지
  • 사용자가 올린 이미지




  • 사용자가 올린 이미지
  • 사용자가 올린 이미지
  • 사용자가 올린 이미지






  • 사용자가 올린 이미지
  • 사용자가 올린 이미지
  • 사용자가 올린 이미지






  • 사용자가 올린 이미지
  • 사용자가 올린 이미지
  • 사용자가 올린 이미지






Top