조황관리HOME / 조황관리 / 상세정보

제목 : 11월30일 조황
등록일 : 2025-12-02



#조황


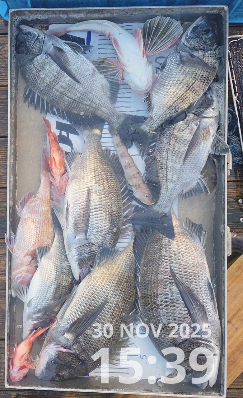
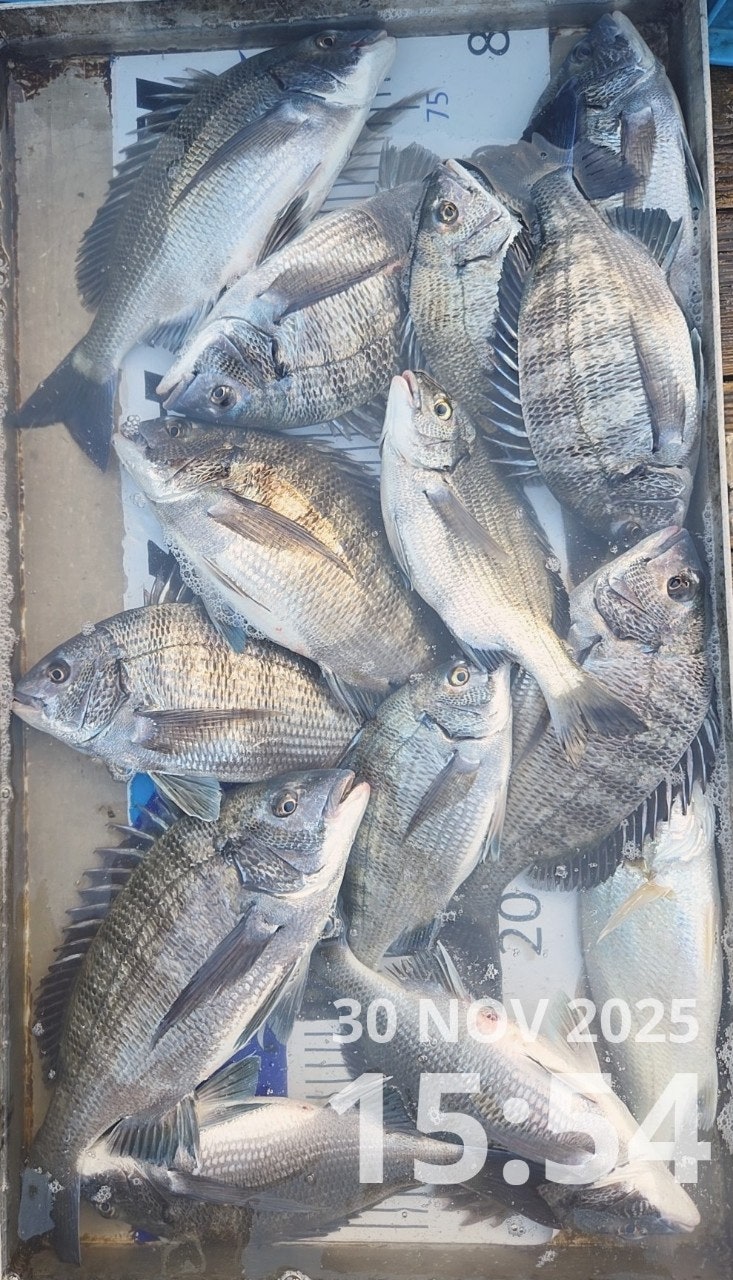
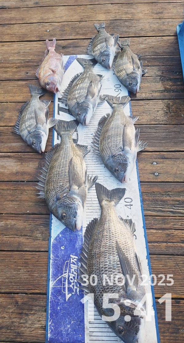
11월 30일 (일)

수연 조황 입니다.


☆ 48 , 49 ...
 
  • 사용자가 올린 이미지
  • 사용자가 올린 이미지
  • 사용자가 올린 이미지
  • 사용자가 올린 이미지




 
  • 사용자가 올린 이미지
  • 사용자가 올린 이미지
  • 사용자가 올린 이미지
  • 사용자가 올린 이미지
  • 사용자가 올린 이미지




 
  • 사용자가 올린 이미지
  • 사용자가 올린 이미지





 
  • 사용자가 올린 이미지
  • 사용자가 올린 이미지
  • 사용자가 올린 이미지
  • 사용자가 올린 이미지





  • 사용자가 올린 이미지
  • 사용자가 올린 이미지





 
  • 사용자가 올린 이미지
  • 사용자가 올린 이미지
  • 사용자가 올린 이미지





  • 사용자가 올린 이미지



이상 입니다 .


낼 부터

많은 분들께서 기다리신

오뎅탕 개시

합니다.

 
  • 사용자가 올린 이미지


새벽 출조전

뜨끈한 국물 한그릇으로

속도 채우시고

정도 채워서 나가세요

====== 수연레저 예약안내 ======

[수연레저] [오후 10:16] https://youtu.be/E-Lq4mezqYE

[수연레저] [오전 8:35] https://youtu.be/dGolSuR_c5o

오시는길 : 경남 통영시 산양읍 궁항길 63
예약문의 : 010-7703-0071
홈페이지 : http://suyeon.sunsang24.com/
Top