조황관리HOME / 조황관리 / 상세정보

제목 : 11월20일 조황
등록일 : 2025-12-02



#조황


11월 20일 (목)

수연 조황 입니다.


오늘은

약식 조황으로

....


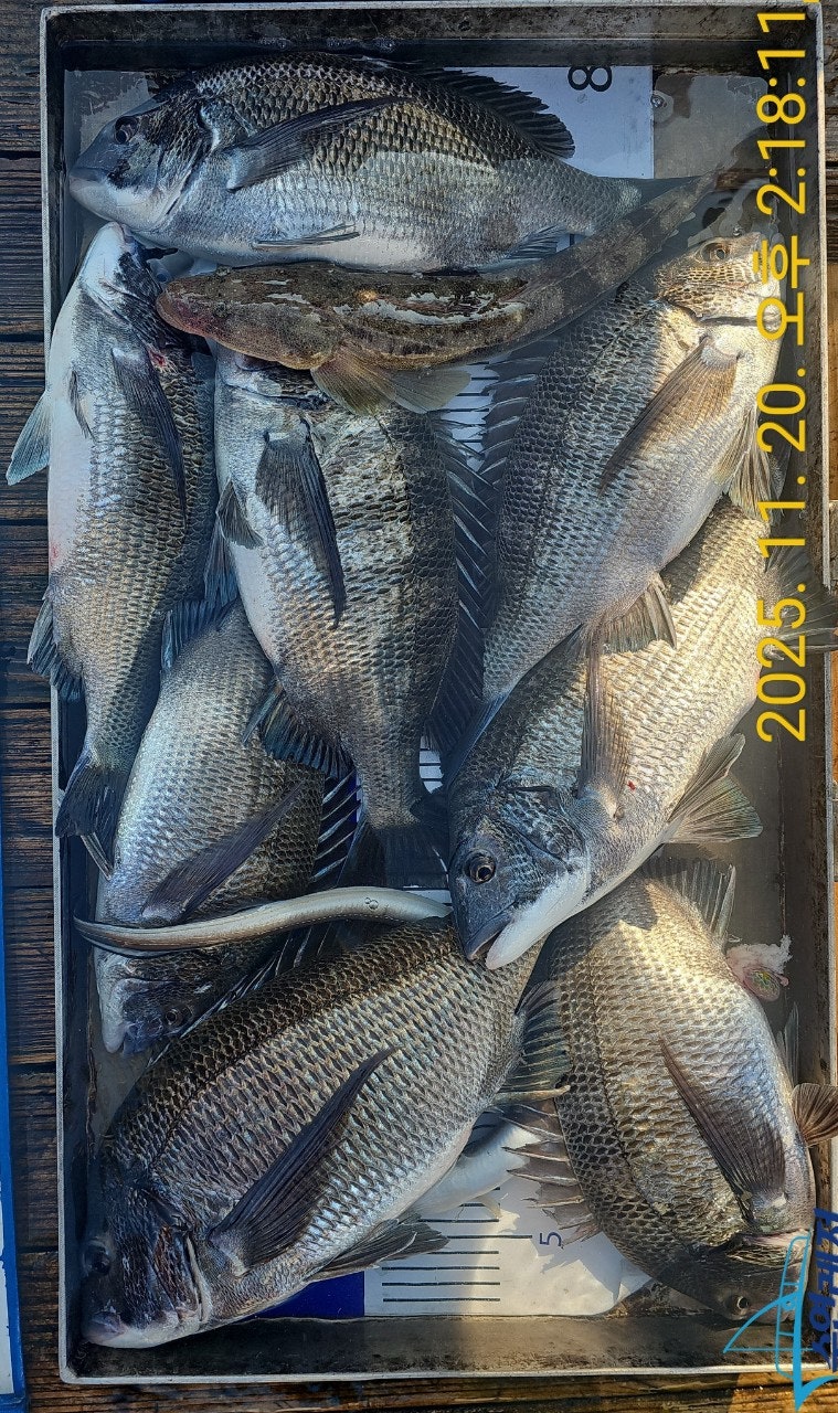
☆ 카고 첫 오짜 ~

50 , 46 ....
  • 사용자가 올린 이미지
  • 사용자가 올린 이미지
  • 사용자가 올린 이미지
  • 사용자가 올린 이미지


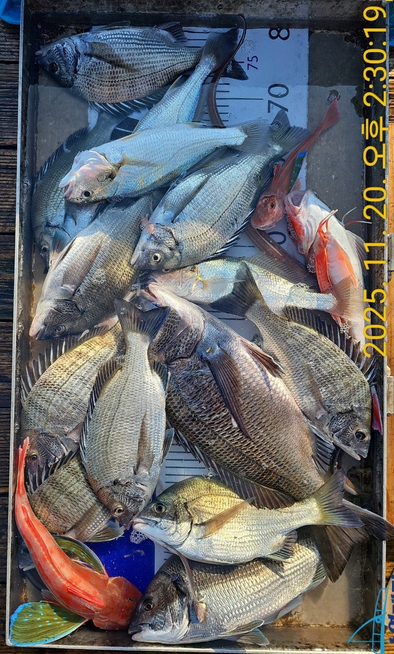
☆ 48 , 46...
 
  • 사용자가 올린 이미지
  • 사용자가 올린 이미지
  • 사용자가 올린 이미지
  • 사용자가 올린 이미지



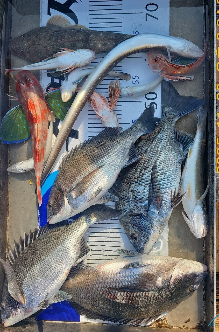
☆ 46 , 42 , 42...
 
  • 사용자가 올린 이미지
  • 사용자가 올린 이미지
  • 사용자가 올린 이미지





 
  • 사용자가 올린 이미지
  • 사용자가 올린 이미지
  • 사용자가 올린 이미지




 
  • 사용자가 올린 이미지
  • 사용자가 올린 이미지
  • 사용자가 올린 이미지




 
  • 사용자가 올린 이미지
  • 사용자가 올린 이미지




  • 사용자가 올린 이미지
  • 사용자가 올린 이미지




 
  • 사용자가 올린 이미지
  • 사용자가 올린 이미지




 
  • 사용자가 올린 이미지
  • 사용자가 올린 이미지
Top