조황관리HOME / 조황관리 / 상세정보

제목 : 11월17일 조황
등록일 : 2025-12-02



#조황

11월 17일 (월)

수연 조황 입니다 .


조황에 앞서

수연을 찾아 주시는

조사님들께

당부 말씀 한가지

작심하고

전합니다.


제발. 부탁 드립니다

선외기 운전

난폭하게 하지 말아 주십시요

여러분들

낚시 포인트까지 모시기. 위한

보조 수단일뿐

레이싱을 위한 장비가 아닙니다.

다음과 같은 행위는

절대 금하오니

협조 부탁 드립니다.

1. 과속 금지
( 풀 스트로크의 80% 만 사용)

2. 후진시
전진 회전력이 어느정도 죽고난후 후진 기어를 넣어 주세요
(※ 과속으로 달리다가 정회전수가 줄기도전에 후진(역회전)을 넣으면 클러치방 기어류가 박살이
납니다)

3. 전진이든 후진이든 한번에
풀로 밀면 안되며 점진적으로
속도를 올려 주시기 바랍니다.
특히. 후진할때 바로 풀로 넣는 경우가
비일비재 합니다.


4. 너울이 높은 경우나 조류의 역방향으로 전진시 엔진의 굉음에도 불구하고 무조건
풀스트로크로 밀고 오시는분들
제발 자제 부탁 드립니다.


5 . 마지막으로
출항 & 입항시 매번 말씀 드림에도 불구하고 과속으로 나가시고 들어 오는분들 너무 많습니다

궁항 방파제 기점으로 방파제까진
최저 속도로 나가시고
들어 오실때도
방파전에 모든 속도를 줄이시고
내항으로 진입 바랍니다

다시 한번 부탁 드립니다
선외기 운전 제발 살~살~
해 주세요

초보분들은
예약문자에 첨부된 동영상
최소 한번은 보시고
출조 부탁 드립니다.


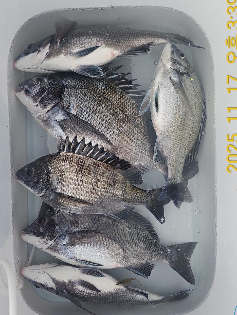
오늘 조황

입니다.


  • 사용자가 올린 이미지
  • 사용자가 올린 이미지
  • 사용자가 올린 이미지



  • 사용자가 올린 이미지
  • 사용자가 올린 이미지




  • 사용자가 올린 이미지
  • 사용자가 올린 이미지
  • 사용자가 올린 이미지
  • 사용자가 올린 이미지



 
  • 사용자가 올린 이미지
  • 사용자가 올린 이미지
  • 사용자가 올린 이미지


  • 사용자가 올린 이미지
  • 사용자가 올린 이미지
  • 사용자가 올린 이미지



  • 사용자가 올린 이미지
  • 사용자가 올린 이미지
  • 사용자가 올린 이미지



  • 사용자가 올린 이미지
  • 사용자가 올린 이미지



  • 사용자가 올린 이미지


  • 사용자가 올린 이미지
  • 사용자가 올린 이미지

이상 입니다 .


그리고

낼은

기상악화로 하루 점빵문

닫습니다


모래

Top