조황관리HOME / 조황관리 / 상세정보

제목 : 11월13일 조황
등록일 : 2025-12-02



#조황

11월 13일 (목)

수연 조황 입니다 .


시즌 초반 부터

흘림 & 카고 모두

호조황의 연속이네요 ....



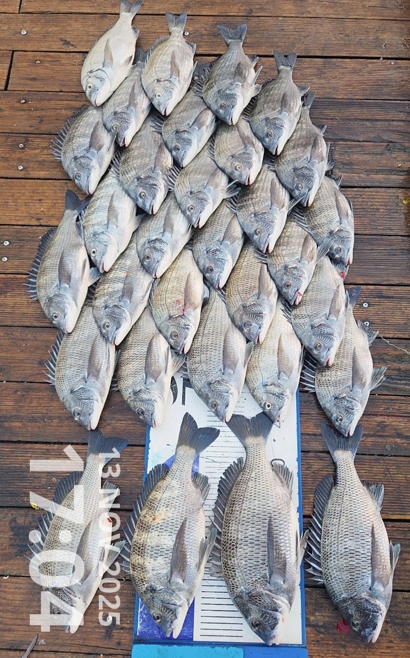
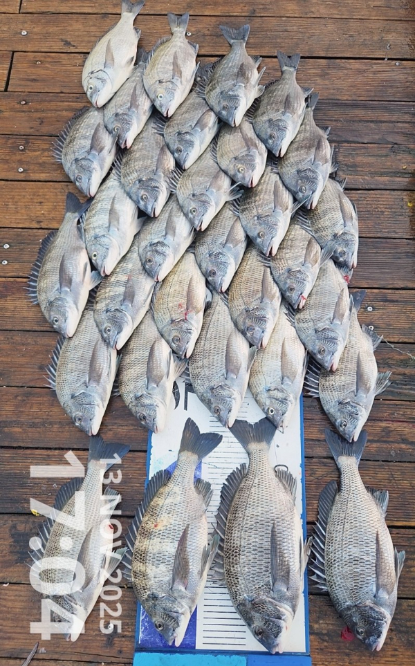
☆ 강원도 영월 조사장님 !

& 제천 임사장님 !


ㅡ 카고.
  • 사용자가 올린 이미지

감시만

총 31수.
 
  • 사용자가 올린 이미지

최대어 : 43 cm
  • 사용자가 올린 이미지

인생 조과 만나셨네요 ~
  • 사용자가 올린 이미지
  • 사용자가 올린 이미지

추카 드립니다.




☆ 경기도 용인 오사장님 !

& 광명시 최사장님 !


ㅡ 흘림 .
  • 사용자가 올린 이미지
  • 사용자가 올린 이미지
  • 사용자가 올린 이미지



☆ 통영 황사장님 내외분 !

ㅡ흘림 .
  • 사용자가 올린 이미지
  • 사용자가 올린 이미지
  • 사용자가 올린 이미지




☆ 경북 칠곡군 윤사장님 !

ㅡ 카고 .
  • 사용자가 올린 이미지

한방 터준게

아쉅네요 ^^
  • 사용자가 올린 이미지

43 , 40 ...
 
  • 사용자가 올린 이미지



☆ 경기 수원 김사장님 !

& 용인 고사장님 !

ㅡ 흘림 .
  • 사용자가 올린 이미지
  • 사용자가 올린 이미지
  • 사용자가 올린 이미지





☆ 부산 박사장님 !

ㅡ 카고 .
  • 사용자가 올린 이미지

  • 사용자가 올린 이미지
41 , 40 ...
  • 사용자가 올린 이미지




☆ 경기 용인 정사장님 일행분 !

ㅡ 루어 .
  • 사용자가 올린 이미지

  • 사용자가 올린 이미지

Top