조황관리HOME / 조황관리 / 상세정보

제목 : 11월7일 조황
등록일 : 2025-12-02



#조황

11월 7일 (금)

수연 조황 입니다.


☆ 마산 정사장님 !
 
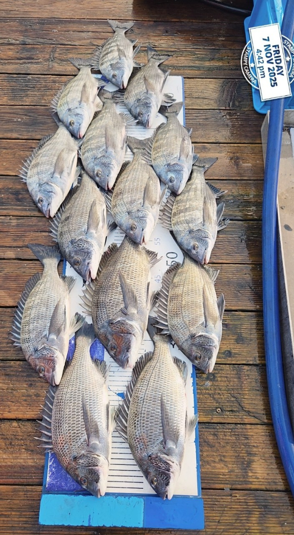
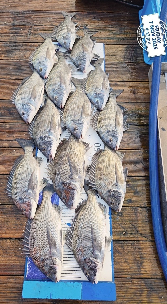
  • 사용자가 올린 이미지
  • 사용자가 올린 이미지
  • 사용자가 올린 이미지


☆ 부산 이사장님 내외분 !
  • 사용자가 올린 이미지
  • 사용자가 올린 이미지
  • 사용자가 올린 이미지
  • 사용자가 올린 이미지



☆ 구미시 이사장님 !
  • 사용자가 올린 이미지

  • 사용자가 올린 이미지



☆ 거제 정사장님 !
 
  • 사용자가 올린 이미지
  • 사용자가 올린 이미지
  • 사용자가 올린 이미지


☆대전 이사장님 & 김사장님 !
  • 사용자가 올린 이미지
  • 사용자가 올린 이미지
  • 사용자가 올린 이미지


☆ 경기 오산 신사장님 내외분 !
  • 사용자가 올린 이미지
  • 사용자가 올린 이미지


이상 입니다 .


※ 월명도 미역어장

출입을 원하는 조사님들께선

통큰 낚시 밑밥 지참 해 주세요


※ 낚시 입문 or 선외기 입문자

분들은 관련 동영상(유투브)을

시청 하셔서 기본적인 지식 습득

후 입문 하시믄 큰 도움이 되리라

생각 합니다.

====== 수연레저 예약안내 ======

[수연레저] [오후 10:16] https://youtu.be/E-Lq4mezqYE

[수연레저] [오전 8:35] https://youtu.be/dGolSuR_c5o

오시는길 : 경남 통영시 산양읍 궁항길 63
예약문의 : 010-7703-0071
홈페이지 : http://suyeon.sunsang24.com/
Top