조황관리HOME / 조황관리 / 상세정보

제목 : 11월3일 조황
등록일 : 2025-11-05



#조황


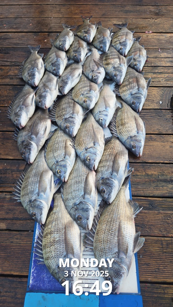
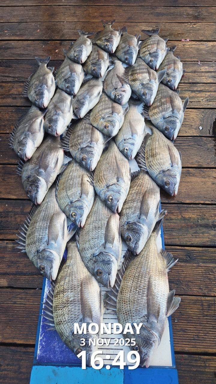
11월 3일 (월)

수연 조황 입니다


복쨍이

백만대군과 싸워서

금의 환향 하신 조사님 !


메가리뗏군들과

싸우느라

파김치 되신

조사님 !


여기 저기

노가다판에 고생

많이들 하시고 오셨네요




☆ 부산 해운대구

전사장님 ! & 정사장님 !


 
  • 사용자가 올린 이미지
  • 사용자가 올린 이미지
  • 사용자가 올린 이미지
  • 사용자가 올린 이미지



☆ 마산 정사장님 !

오늘의 최대어 : 47 cm
  • 사용자가 올린 이미지
  • 사용자가 올린 이미지
  • 사용자가 올린 이미지
  • 사용자가 올린 이미지



☆ 진주 김사장님 !

오전 늦~게

오셔서 걱정 했는데

....

 
  • 사용자가 올린 이미지
  • 사용자가 올린 이미지
  • 사용자가 올린 이미지




☆부산 해운대구 박사장님 !
  • 사용자가 올린 이미지
  • 사용자가 올린 이미지






☆ 기장군 최사장님

& 울산 동구 김사장님 !

 
  • 사용자가 올린 이미지
  • 사용자가 올린 이미지
  • 사용자가 올린 이미지




☆ 부산 진구 김사장님 !
  • 사용자가 올린 이미지
  • 사용자가 올린 이미지




☆ 통영 북신 안사장님 일행분 !
  • 사용자가 올린 이미지
  • 사용자가 올린 이미지
  • 사용자가 올린 이미지





☆ 통영 미수의 김사장님 !

& 무전동 정사장님 !
 
  • 사용자가 올린 이미지
  • 사용자가 올린 이미지
  • 사용자가 올린 이미지
  • 사용자가 올린 이미지



☆ 용인시 김사장님 일행분 !
 
  • 사용자가 올린 이미지


마지막으로

오늘

홍일점 !

루어팀


☆ 김해 박사장님 & 송사장님 !
 
Top